Beschreibung
Familien-Traum in Angerberg: Sonniges
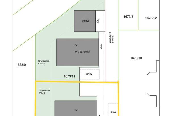
Baugrundstück Ihr neues Zuhause im idyllischen Baumgarten: Suchen Sie den perfekten Platz für Ihr Eigenheim, der finanziell im Rahmen bleibt? Wir bieten Ihnen hier eine attraktive Teilfläche von ca. 358 m² an. Wichtig für Ihre Planung: Das Gesamtgrundstück (790 m²) ist aktuell noch nicht geteilt - die Parzellierung erfolgt gezielt nach Ihren Bedürfnissen und in Abstimmung mit den Interessenten. Warum sich dieses Angebot besonders für junge Familien lohnt: Leistbare Größe: Mit ca. 358 m² erwerben Sie genau den Platz, den Sie für ein modernes Einfamilienhaus brauchen - ohne teure "Zusatzmeter". Mitgestaltung: Da die Teilung erst noch erfolgt, sichern Sie sich maximale Flexibilität für Ihr Bauprojekt. Top-Lage: Absolute Sonnenlage und Ruhe pur im familienfreundlichen Angerberg. Planungssicherheit: Die Gemeinde hat bereits grünes Licht für eine Teilung gegeben - unter bestimmten Voraussetzungen sind sogar attraktive, verminderte Grenzabstände möglich! Wir
freuen uns auf Ihre schriftliche Anfrage! Lage: Angerberg ist eine Gemeinde mit ca. 1968 Einwohnern (Stand 1. Jänner 2025) im Bezirk Kufstein in Österreich. Die Gemeinde liegt im Gerichtsbezirk Rattenberg. Die Gemeinde Angerberg liegt oberhalb des Verkehrsknotenpunktes Wörgl am 18 km langen "Mittelgebirgsrücken", der zwischen der Brandenberger Ache und Niederbreitenbach verläuft. Im Norden Angerbergs befindet sich der Gebirgszug der Brandenberger Alpen mit dem Hundsalmjoch (1637 m) als höchster Erhebung. Wörgl , bekannt als Schul- und Einkaufsstadt, ist mit dem Auto oder öffentlichen Verkehrsmitteln in wenigen Minuten erreichbar. Das kleine Dörfchen Mariastein , einer der bekanntesten Wallfahrtsorte unseres Landes, befindet sich in unmittelbarer Nähe. Durch die nahegelegene Autobahnauffahrt Wörgl Ost ist auch die Verkehrsanbindung nach Rosenheim - München, sowie nach Innsbruck und Richtung Italien optimal gegeben. Kufstein: ca. 15 km Kitzbühel: ca. 38 km Innsbruck: ca. 72 km Rosenheim: ca. 53 km Salzburg: ca. 128 km München: ca. 104 km... [Mehr]