Baugrundstück im Mischgebiet mit großem Potenzial

Laufen / 100m²

#Büro #Halle #Werkstatt

Beschreibung

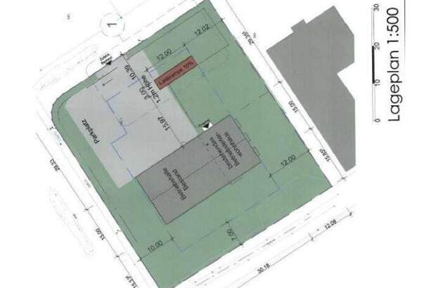
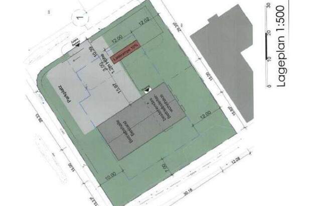
Grundstück / Lagerplatz mit Büro, Wohnhaus und Keller als Altbestand GFZ 0,8 Lagerfläche mit Lagerhalle und Büro dazu Wohnhaus 3160 m² Lagerhaus mit Werkstatt und Büro gesamt ca. 300m² Wohnbereich ca.100 m² Keller ca. 120m² Lage: Laufen ist eine Stadt im Landkreis Berchtesgadener Land in Oberbayern und liegt etwa 17 km nördlich von Salzburg am Alpenfluss Salzach, der hier die Grenze zwischen Deutschland und Österreich bildet. Auf der anderen Flussseite liegt die einstige Vorstadt Laufens, Oberndorf bei Salzburg